The Lippitt Club Lippitt Stallion Listing
The world of quality Lippitt Morgan Stallions.
Lippitt Stallions Standing at Stud
California

TOV Jeremiah (Jake Mint X TOV Melody Ashbrooke (by Tradition Derby Day)) f. 5/16/03 Dark Bay, 14.1H. Great, athletic ability and mind. Mares must be current on worming and all vaccinations including rhino. Health Certificate and Coggins for out of state mares. Terms for Live Cover and A.I. are Private Treaty. Standing at: Ute Mountain Morgans, Guy and Claire Wagner, 3615 Twin Oaks Valley Rd., San Marcos, CA 92069, (760) 471-6912 or Email: Ramonarosecew@gmail.com

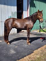
Ute Mt Santiago <photo of Santiago son, SD Blue Mt Ashbrook for reference> (Ute Mt Samuel x SD Anna Marie (by Tradition J H Peters) AMHA# 189606 f 2-20-2015, bay. This young stallion is expecting his first foal in 2021. Mares must be current on worming and all vaccinations including rhino. Health Certificate and Coggins for out of state mares. Terms for Live Cover and A.I. are Private Treaty. Standing at: Ute Mountain Morgans, Guy and Claire Wagner, 3615 Twin Oaks Valley Rd., San Marcos, CA 92069, (760) 471-6912 or Email: Ramonarosecew@gmail.com

Gethsemane Churchill (King Cross Majestic x King Cross Saxony Stallion foaled 2019. Tyson Morgan ranch is happy to offer Gethsemane Churchill for stud to add balance and elegance to anyone's herd. He is 14.1 hands and still growing, liver chestnut with star and back hind white foot. He is available via live cover and AI. His temperament is calm, loving and a huge puppy dog. He loves his people and is always eager for pets. His intelligence is above the average horse as he is simply put not average. He gets things the first lesson and nothing seems to bother or phase him. He has one colt on the ground that he has passed down his wonderful traits to and should have 3 more foals hitting the ground next year. Stud fee ok private treaty. Becca and Nathan Tyson #760-271-6500 Email : charohenley@yahoo.com
Michigan

MAPLE GROVE MERLYN AT STUD AT MY LARK LIPPITT FARM AI by private treaty, or trade for breedings to my mares. Merlyn has had 7 foals, 5 fillies and 2 colts: 6 chestnuts and one bay. Two foals expected in July 2023 and may be for sale. Appearance: 14 2.75 hands, Chocolate chestnut with star and left white hind sock, thick wavy mane and tail. Long rounded croup, 15 to 16 inch under saddle back measurement, no leg deformities, hard, well formed hooves without issue. Gaits: Dressage trot with oval trot action, fast walk, natural collection. Disposition: Gentle and intelligent, easy to train. If interested in his get, or breeding by AI, please contact Wanda Iza email: wandabiza@hotmail.com or text/then call: 847/224-6963.

Sonarose Steel Richey (River Riders Rich x CC Ebonyx) 14.2hh, Homozygous Black, Fun to Ride & Drive, Willing Worker, Handsome & Sensible Owner: Keaton & Samantha Becher 7724 Woodland Rd, Brutus, MI 49716 ph: 231-539-7356 $350 Live Cover for Lippitt Mares / Standing @ Rosenthal Farm w/ Jacob Keim 6602 N 37 Rd Manton, MI 49663 ph. 231-824-9753 https://db13675.pedigreeonline.com/sonarose-steel-richey-BmxA4Qc5/pedigree
Missouri

River Riders Riddler better known as “The Red” (Winloc Major Gifford x River Riders Rhapsody) will stand for the improvement of the authentic Morgan during the 2022 season. Dark bay with black legs mane and tail. Stud fee: Private Treaty. Health requirements for mare: Rear shoes removed, vaccinations up to date, negative uterine culture, Coggins and Health Certificate. Contact: Greg & Deborah Siegrist, 27 Forrester Dr., Wentzville, MO 63385, Phone :(636) 332-9346 Email: gsiegrist2@centurytel.net
Montana

Devine Cool Hand Luke Two time World Champion, Devine Cool Hand Luke (Sandrock Joel x M Classic Tabby Sue) standing via frozen semen only. $750. Rodger and Chris Holm, Lincoln, Montana (406) 362-4632 www.devinemorgans.com devinemorgans@gmail.com
New York
Amberfields Stetson (Ryegate Black Bart X Rohan Windfola) f.2008, Offered by frozen semen only Contact Judy Hinman ph 315-861-7696, or visit www.amberfieldsmorgans.com

Harwich Attila (Harwich Tyrant X TOV Christina Caminos) F. 3-26-09, Bay, has his sire’s perfect shoulder; wonderful neck; and bold, people-loving personality. His Dam, a Marvelous Ideal daughter, and line-bred to Royalton Ashbrook Darling, has given him an excellent croup. Harwich Attila, a 2016 and 2019 Allen’s Major Award winner will be available for the upcoming breeding season. He will be able to carry on Missalette farm and Harwich Tyrant’s tradition of combining form with function in any, or all, disciplines! Terms are $850 for stud fee and mare care. For more info please contact Ken Estes at 585.245.3952 or JoGlennFarms@gmail.com JoGlenn Farms, 4344 Cameron Rd, Caledonia, NY 14423
Oregon

SD Blue Mt Ashbrook (Ute Mt Santiago x Ute Mt Mischievous Rachel) f. 4/15/21, chestnut. Standing at stud by frozen semen, private treaty. Located in OR. Contact Sheryl Hubbard ph. 541-910-0373
Texas

Okan Count On Me (Okan Storm King x Okan Duchess) 3/17/15 bay AMHA #189436 - 15 hands, Count is a proven producer with classic type and a golden temperament. He is now owned by and standing at stud at Tindo Morgans in Texas. www.tindomorgans.com Don't miss this opportunity: For the month of May 2024 only, he will be available via fresh cooled AI, standing at Select Breeders in Aubrey, Texas. After that he will be available by frozen or live cover. Please contact Barbara@tindomorgans.com for more information.
Vermont

Schiehallion Nicholas (Pure Nuggeteer’s Standard x Karenza Cynthia)
f. 6/17/2010. AMHA #191369 15H. Live foal guarantee. Live cover and shipped cooled semen available. Stud fee and mare care by Private Treaty. Requirements for Mare: Coggins and health certificate; up to date on worming and vaccinations; halter broke; no hind shoes; and negative culture. Standing at MorMac Acres, New Haven, VT. Contact Jim McClay at (802)-545-8181 or 816-695-6701 (cell); mormacacres@yahoo.com. More information, including offspring, can be seen at www.schiehallionnicholas.com

Weathermont Ethan (Wood Run Mandrake X Weathermont Annie) f. 6/17/01. Registered brown, but appears black. White star and snip. 14.2H. Live foal guarantee. Live cover and shipped cooled semen available. Private Treaty. Health requirements for mare: Health certificate, up to date on worming and vaccinations, halter broke, no hind shoes. There is a charge for mare care. Wes and Joy Smith, (802) 546-7136 (H) or (802) 238-1058 (C), Email: weathermontjs@me.com.
Washington

Brook Hill Constellation (Michabou Weatherman X OceanviewsIntegritysPiper) f. 5/5/08. Dark Brown with small white star. 15.1H. Stud Fee $900.00 Live Foal Guarantee. Contact: Sue Beach in Ellensburg, WA, (509) 499-2291, Email: bttr2010.sb@gmail.com. Website: www.beachestripletranch.com
